historic foundations, future growth
BAX Engineering Supports The St. Charles City Centre Complex (C3) Project
With deep roots in the community and unmatched surveying records, Bax Engineering is helping bring a high-profile redevelopment project to life – linking Main Street and Frenchtown through precise boundary and platting work.
the challenge
Redeveloping the historic American Car Foundry site into the new City Centre Complex (C3) meant more than breaking ground – it required rebuilding on layers of buried history. With aging infrastructure, limited records, and numerous vacated streets, the City needed a partner that could untangle decades of complexity without disrupting future progress.
Originally started by another engineering firm, the project’s boundary and legal survey needs quickly escalated. The City turned to Bax Engineering for their extensive historical records, municipal expertise, and long-standing relationship as the City’s on-call surveying team.
“This is a major project for the City – and one that couldn’t afford mistakes. We were ready because we’ve lived and worked in this community for decades. Our historical records and boots-on-the-ground experience gave us the insight and accuracy the project needed.”
the solution
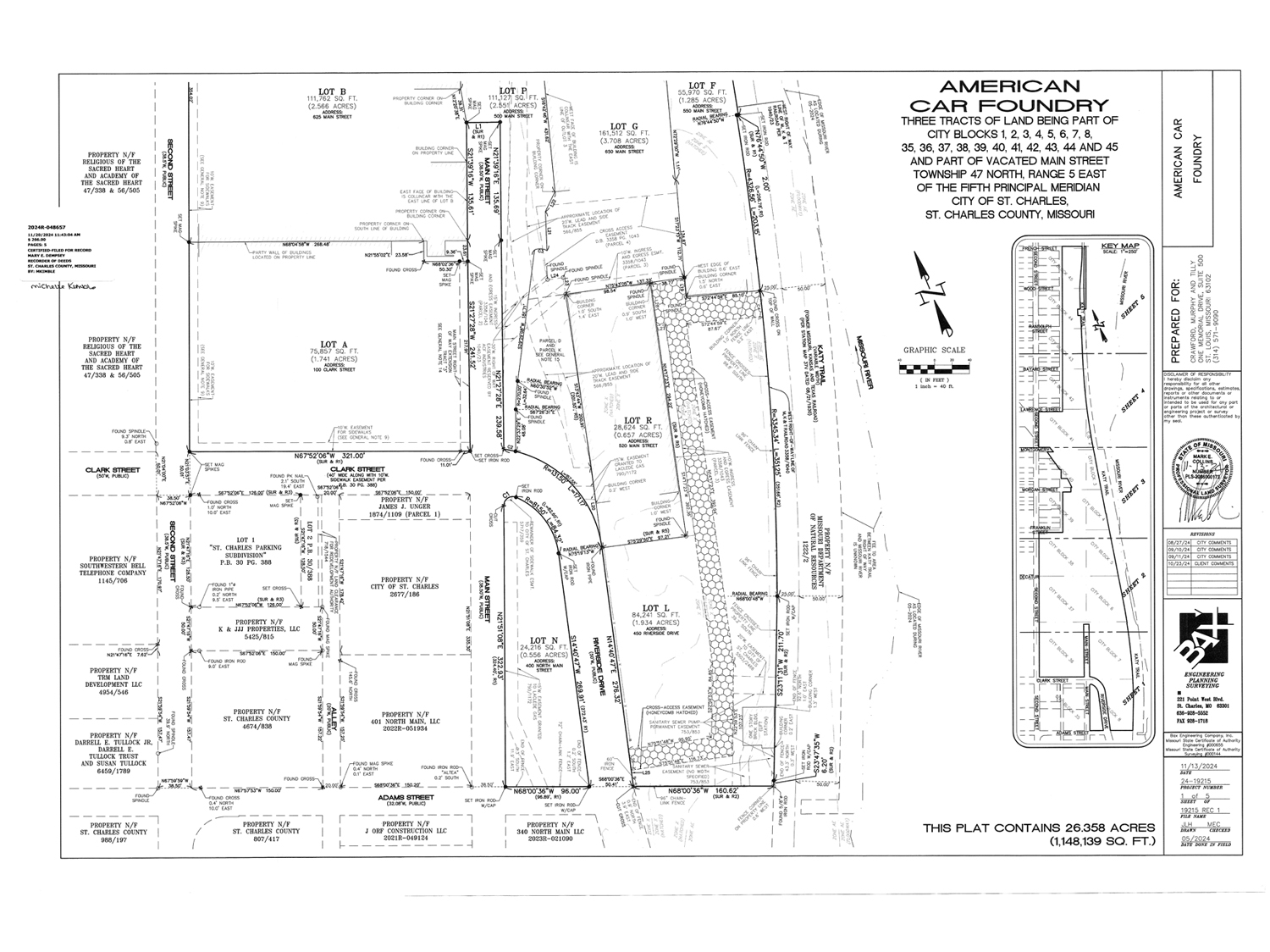
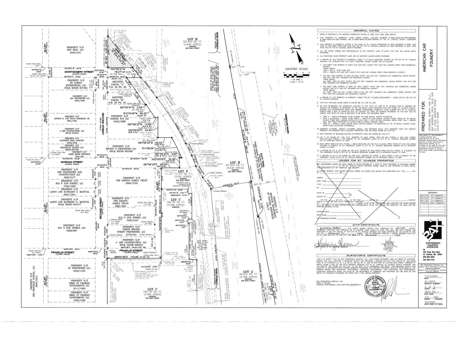
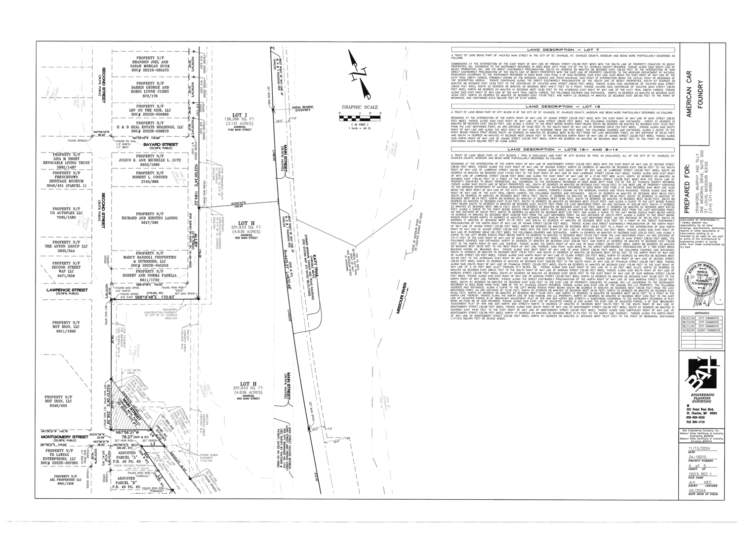
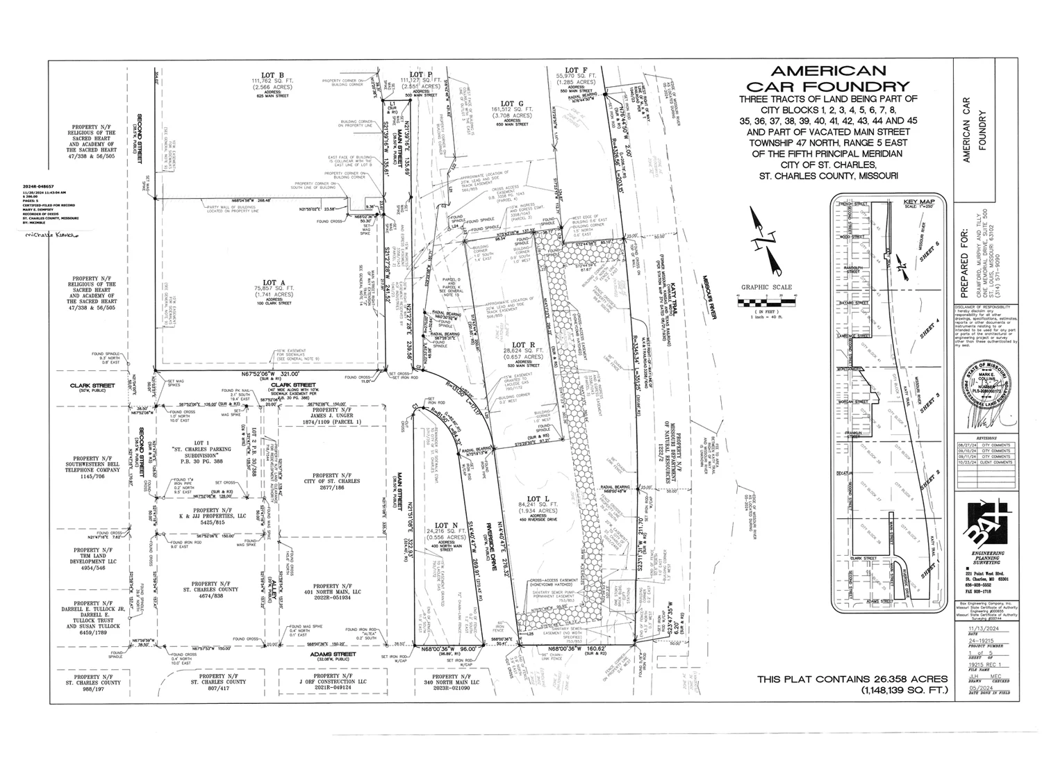
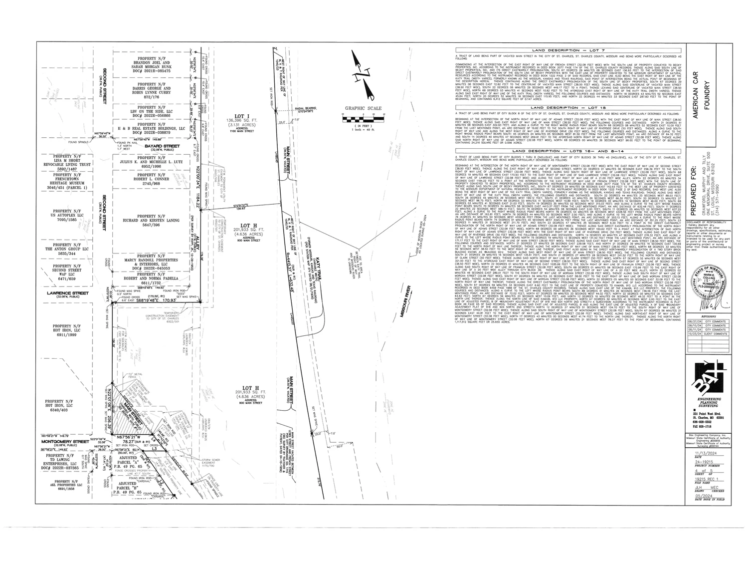
Bax Engineering stepped in to guide the project through one of its most sensitive early phases: accurately defining property lines and platting the site into usable lots. Using a rare archive of hand-drawn records dating back more than 100 years – including corner ties and original right-of-way documents – Bax was able to reestablish property boundaries that had not been surveyed in over five decades.
Working closely with City officials, engineers, and title companies, Bax:
- Completed a boundary survey (ALTA/NSPS) of the entire 32-acre site
- Delivered a subdivision plat to divide the property into multiple lots – some retained by the City, others prepped for sale
- Coordinated legal descriptions, right-of-way boundaries, and monumentation along key corridors, including the Katy Trail
- Investigated decades-old easements and right-of-way records, even where physical evidence no longer remained (e.g., buried or paved-over railroad lines)
Bax was later asked to support additional work, including 3D scanning of connected historic buildings to aid architects in adapting existing structures into new uses.
the results
Bax’s early work enabled the City to:
Finalize land acquisitions and close on parcels for development
- Meet critical due diligence and timeline requirements
- Advance plans for a transformative civic project that will include a new City Hall, community center, four-seasons farmers market, and more
- Build public confidence in the project’s integrity and execution
City officials praised the responsiveness and accuracy of the Bax team, noting their ability to exceed expectations and navigate technical challenges with efficiency and professionalism.
why it matters
This isn’t just a new building – it’s a new chapter for downtown St. Charles. The City Centre Complex will anchor future development in the region and reconnect Main Street with Frenchtown, strengthening civic, commercial, and cultural bonds.
For Bax Engineering, the project underscores a core value in our strategic plan: helping communities grow by building on what’s already there – expertise, relationships, and trust.
project overview
CLIENT
City of St. Charles, Missouri
LOCATION
American Car Foundry,
Downtown St. Charles
PROJECT DATES
May 2024 (Ongoing)
SITE SIZE
Approximately 32 acres
services provided
ALTA/NSPS survey, subdivision platting, right-of-way coordination, easement research, historic scanning and documentation
partners
CMT (Engineering),
City of St. Charles
FUNDING PARTNERS
Proposition C – $85 million No Tax Increase Bond Issue
EXPLORE THIS PROJECT
Click the photo to see full images







